
By NOAA / National Weather Service – http://www.photolib.noaa.gov/htmls/wea00540.htm, Public Domain, https://commons.wikimedia.org/w/index.php?curid=156976
Every few years tropical weather becomes inextricably linked with electoral politics in Florida. For whatever reason, 1992, 2004, 2016 and now 2018 are all years where major storm events have impacted Florida’s electorate at the most critical times. Governor Rick Scott showed in 2016 and very well could again in 2018 his leadership during a major storm could help his party. Scott is leaving nothing to chance, cynically taking images of him doing the basics of his job and rolling it into a campaign ad.
Scott’s success against Bill Nelson in the US Senate election next month may hinge on how cynically he plays his role, and how much other Republicans exploit it on the trail. Meanwhile as Mayor of Florida’s capital, Andrew Gillum is uniquely positioned to take advantage of Hurricane Michael while doing his job. Gillum was featured as much if not more in national TV during the storm than Governor Scott, perhaps signalling to some conservatives that the media’s alleged liberal bias drove coverage. But that bit of possible analysis ignores the fact that Mayors played a big part in the coverage of Michael on national outlets and beyond Gillum most featured were in fact, Republicans or more conservative NPA’s.
Historically, storms have played a role in election is Florida. Let’s start with Andrew in 1992.
1992 – Andrew
President George H.W. Bush had won Florida by 22 points in 1988, his best performance in the southeast United States. Having just been renominated for a second term the previous week, Bush was looking forward to hitting the campaign trail and touting his record on foreign policy But then Andrew happened.
Governor Lawton Chiles wasn’t particularly popular but wasn’t polarizing either. Having survived an intense reapportionment-fueled non-stop legislative session, Chiles was enjoying summertime and pleased a fellow southern governor was the Democratic nominee for President. Then came Andrew.
To say the response to the devastation of Andrew from both the State & Federal Government was slow would be a massive understatement. Explanations for the delay range from bureaucratic bungles, to lack of state requests to simply incompetence to total contempt and indifference. The truth as usual with these sorts of situation lies somewhere in the middle, a murky middle of the road which does nothing 25 years after the fact to erase what happened. Governor Chiles and President Bush bore the brunt of the criticism which was largely unfair, but neither did much preemptively to prevent the mistakes from happening. In fairness, never in the recorded history of tropical systems in the Atlantic region had such an intense storm hit an area with that was as densely populated as southeast Florida. To make matters worse, South Dade, particularly Homestead and Florida City are the most geographically isolated and among the poorest areas of a massive Metropolitan area. Despite everything that had happened in the past, no dry run was sufficient for coping with Andrew.
After Hurricane Hugo devastated Charleston and the surrounding areas of South Carolina in 1989, Senator Fritz Hollings (D-South Carolina) called FEMA “a bunch of bureaucratic jackasses.” In some cases it took over a week for FEMA to reach areas of South Carolina worst hit by Hugo. In the case of Andrew the response would be similarly slow and painful, and worse yet becoming a political football in an election year. Bush had fair warning after Hugo that FEMA was not up to the task of disaster relief and also got a taste of how poorly coordinated inter-agency efforts were handled. He also saw how slow the military was in responding, something which only improved when Senator Holllings a week after Hugo directly reached out to General Colin Powell, the Chair of the Joint Chiefs of Staff. In this Hollings circumvented the FEMA bureaucracy, and President Bush. General Powell sent the Marines into South Carolina and things rapidly improved.
Florida was not yet considered a swing state in 1992, but it did have the 4th most electoral votes in the country. It was also a state with a Democratic Governor and control of both houses of the legislature in year when the party had nominated a southern Democratic Governor. Bill Clinton hailed from the centrist Democratic Leadership Council (DLC) whose backbone were lawmakers from the south, especially Florida. Clinton was liked and well-regarded among Florida pols, unlike most recent Democratic Presidential nominees. Meanwhile, George H.W. Bush was struggling through 1992, and seemed far from sure-footed whenever any sort of crisis came around. It is often forgotten in today’s era of Trump, but the first Bush often came across as petty, wooden, vain and elite particularly as things weren’t going well in 1992. He’d hurl insults at Senate Majority Leader George Mitchell (“if he had his way you’d be paying $5 a gallon for gas” or Vice Presidential nominee Senator Al Gore (“ozone man, that guy is crazy, way out, far man!”) when in a particularly feisty move. Bush didn’t have the arrogance and lack of tact that Donald Trump now exhibits, but he didn’t exactly have the “aw shucks” feel that could comfort folks that his son possessed a decade later when in the White House.

By National Hurricane Center – http://www.nhc.noaa.gov/gifs/1992andrew1.gif, Public Domain, https://commons.wikimedia.org/w/index.php?curid=34782944
Bush was compassionate in his own way but had a hard time showing it when it came to Andrew. The President by most subjective accounts came across as defensive and uncaring in the days following Andrew’s landfall in South Dade County, even though he had toured the disaster areas with Governor Lawton Chiles and others. Bush saw the area with his own eyes and it undoubtedly made an impression on him. The reality was bureaucratic snafus including a misaddressed request for assistance held up aid. To some it looked like Chiles, a Democrat was trying to pin blame on Bush, a Republican and visa versa. But the reality is President Bush wasn’t great at showing empathy, was already defensive in a tough election year and most importantly was dealing with arcane bureaucratic procedures and a Congress led by Democrats that wasn’t always quick and responsive.
Governor Chiles misdirected his request for aid and also failed to make a formal written request – an idiotic formality given the grave circumstances of the time, but something that did haunt Chiles politically as his poll numbers would collapse similarly to Louisiana Governor Kathleen Blanco’s after Katrina. While Chiles appeared compassionate unlike Bush, he also to subjective observers seemed aloof and full of excuses. Lieutenant Governor Buddy MacKay who also toured the area seemed to many to be more on-the-ball in terms of trying to direct a response. Fortunately for Chiles and MacKay they weren’t on the ballot in 1992. If they were, they almost certainly would have lost thanks in large measure to Andrew.
Where Bush does deserve full blame is that he did not take the sort of decisive actions to reform FEMA after Hurricane Hugo, that his successor Democrat Bill Clinton would take the following year in the wake Andrew. Clinton brought in James Lee Witt an Arkansas political associate who shaped up FEMA and raised the level of professionalism in the department to where clean ups after monster storms Opal and Floyd in the Clinton years were handled efficiently and professionally. Bush has lots of time after Hugo to shape things up and didn’t. Much like his son’s FEMA that would make a mess out of Katrina in 2005, Bush’s handling of Andrew undermined the image of the United State abroad. Similarly Florida would embarrass two Bush’s sons in 2005 when Wilma struck the state while Jeb Bush was Governor. The relief and recovery effort in Florida where Wilma struck as a Category 3 storm were far slower and inferior to Mexico’s Yucatan Peninsula where Wilma had stuck (and moved slowly over) as a Category 5 with a lower pressure than Andrew had when hitting South Dade (It should be noted Jeb Bush’s response to the four storms that hit the state in 2004 was very good, but then again his brother was running for reelection that year and the family knew a thing or two about botched relief efforts in Florida after a storm).

By Bob Epstein – This image is from the FEMA Photo Library., Public Domain, https://commons.wikimedia.org/w/index.php?curid=8064205
On August 27th President Bush announced he was sending the army into Florida perhaps a decision that should have been taken three days earlier. However, again bureaucratic snafus had as much to do with these days as Bush’s own problems.
Bush’s comments to media about this were as follows from August 27, 1992:
I have with me several of the key leaders at the Pentagon who are working on this humanitarian problem. And our military resources are responding promptly and massively to the hurricane disaster.
At least 7,000 Federal troops are on station or en route to deliver services to Floridians who are the victims of this horrible disaster. That amounts to a full brigade. Another 1,000 Marines are going to Opa Locka to help, if necessary.
Two tent cities with sanitation facilities which can house 5,000 people will arrive in Florida this afternoon from Guantanamo. General Reimer, with me today, and Secretary Atwood tell me that the Department of Defense has already delivered nearly 200,000 meals. In addition, another 200,000 would be delivered today and tomorrow. Also, 20 mobile kitchen trailers, which are each capable of feeding 300 personnel every 2 hours, will serve food around the clock. The Department of the Navy is providing shelter for up to 5,000 personnel.
In addition, the Army is sending up to 1,250 tents, 25,000 cots, and 50,000 blankets. The military is sending a full medical brigade and seven special medical teams to deal with the health problems. Ten thousand gallons of bottled water arrive today. Contracts have been let for 6 million more gallons of water, Generators are being supplied for electricity support in relief centers. In addition, the Army Corps of Engineers is on the ground to help with the removal of debris that will allow people to move around.
The United States Department of Agriculture has just distributed over 100,000 food packages. In addition, 7,000 cases of food from the Red Cross and other agencies have been sent to Florida shelters.
Finally, with the respect to the maintenance of public order and security, functions now the responsibility of State and local officials in Florida, I have made very clear to Governor Chiles both yesterday and today that I am willing to send more Federal troops and federalize the National Guard in Florida if he wants us to. We will commit all Federal military resources necessary to help the people in Florida. I’ve just talked to Governor Chiles, and I think we are in agreement on all of this.
As far as Louisiana goes, problems for some families are terrible. The size, the scope of the disaster is not near as great. But the military is helping there as well. There are MRE’s on the ground. The generator sets are there. And I’ve been trying to contact Governor Edwards, with whom I visited the area the other day, to be sure that we are giving him the proper support for the people of Louisiana.
So things are moving, and the big thing is to get this job done for the people. It is a cooperative effort between private agencies, between local, State, and the Federal government. I am very, very proud of the way the military has responded here.
While Bush seemed well in charge of the effort, the delay was unnecessary. According to the New York Times :
Troops at Fort Bragg, N.C., were ready to go to Florida several days ago, and thousands of prepackaged military meals, stockpiled in Florida, could have been distributed to hurricane victims, Pentagon officials said. But the relief effort did not get into full swing until Thursday.
In the end, it was Chiles not Bush who got the blame from more of Florida’s citizens. Bush won Florida, albeit barely but Governor Chiles saw his approval ratings fall through the basement thanks to the botched Andrew response. Soon after the storm Chiles approval rating fell into territory where not even Donald Trump has visited – a 22% approval rating while Chiles disapproval rating hit the 70’s. But as Andrew faded into the past, Chiles eventually recovered though it did take almost two whole years for him to regain his political footing. Bush won Florida but lost the election to Clinton. It could be theorized that Florida suddenly got close because of Bush’s mishandling of Andrew, but the fact that Florida has stayed a swing state since 1992 indicates Andrew had little impact on the electorate that year.
2004- Charley, Frances, Ivan & Jeanne
In 2004, Republicans undoubtedly benefited from the four storms that crisscrossed the state. Governor Jeb Bush adroitly used that year’s four hurricanes that hit the state to improve his own personal popularity and that of Republican elected officials including his brother, the President. The ultimate winners were his brother who won the state by close to five points though polling never indicated George W. Bush would carry the state by the margin he did, and Mel Martinez, the closest thing to an accidental US Senator this state has had since Ed Gurney. Martinez, a deeply flawed candidate who won the GOP Primary by gay-baiting was carried to an upset victory over Betty Castor largely on the backs of Bush’s perceived strong handling of the 2004 storms.
Bush acted decisively in trying to administer relief after Charley which has devastated Charlotte, DeSoto and Hardee Counties while providing a historic blow to Polk, Osceola and Orange as well. Frances proved more challenging because the slow-moving storm that weakened from a Category 4 to a Category 2 while pounding the southeast coast of the state for two days caused lots of damage and eventually crossed the state. Frances was soon followed quickly by Ivan – originally projected to hit south Florida but instead hit the panhandle before its remnants circled back and complicated Frances relief efforts on the east coast of the state several days after its initial landfall near the Alabama/Florida border.
Hurricane Jeanne then plowed into the state coming onshore the very same point Frances did in Martin County – a historical first where two storms made landfall in the same spot in the Atlantic basin in the same calendar year. In fact, Jeanne and Frances came ashore the same month, September 2004. The cleanup after Jeanne which complicated the post-Frances efforts created a feel good factor for Bush and other Republicans. Bush’s work helped his brother whose administration a year later would completely botch up rescue efforts after Katrina, Rita and Wilma. Katrina’s aftermath was one of the major factors in the loss of American prestige abroad and the downfall of the Bush dynasty both in Florida and nationally. But that is a subject for another day.

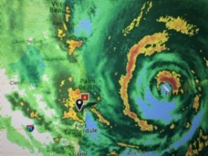
How close was Matthew to a Broward or Palm Beach County landfall? This close. The dot on graphic represents the location of my then-office in Fort Lauderdale
2016- Matthew
Hurricane Matthew created panic as it approach the east coast of Florida on a historically bizarre path, having emerged from the southern part of the Caribbean and raced northward due to other weather patterns in early October. Matthew was a dangerous Category 4 storm as it approached Florida. For many days a Hurricane Warning was raised along almost the entire east coast of the state from Hallandale to Fernandina Beach. Miami-Dade the lone east coast county not under a warning was placed under a Hurricane Watch.
Governor Rick Scott used the storm wisely, gobbling up air time. With over ten million people under watches or warnings in the state, the national media had no choice but to suspend its Donald Trump obsession for a week as it covered and chased a potentially dangerous storm. Scott’s savvy disaster relief persona which would be tested in even greater ways the following year with Irma provided his party, and Trump a boost in the polls.
In the end Matthew brushed Florida, causing some local flooding and power outages but much like Hurricane David in 1979 which also paralleled the state it could have been oh so much worse. The graphic to the right taken from my phone as the storm was just offshore shows how close the center of circulation actually was to making landfall, but a due north/ north-northeast direction kept it offshore except for some unpopulated areas near Kennedy Space Center.
—————
How will Michael, a historic storm by all accounts impact 2018? We’re not sure except for one thing – it will almost certainly have an effect on the outcome.





